The Century’s Strongest Super-Typhoon Hagibis Is About To Hit Japan—1,600 Flights Canceled
The streets of Tokyo outside my window are currently getting a little quieter, but there is absolutely no sense of panic in Japan’s capital. Typhoons are common-place in Japan, and the infrastructure has been built to withstand regular storms each year.
There are two major sporting events in Japan this weekend; the Rugby World Cup which has now canceled two games. England versus France and Scotland versus Japan. The other major event is the Japanese Grand Prix, who have moved qualifying to Sunday, with the race going ahead almost immediately afterwards.

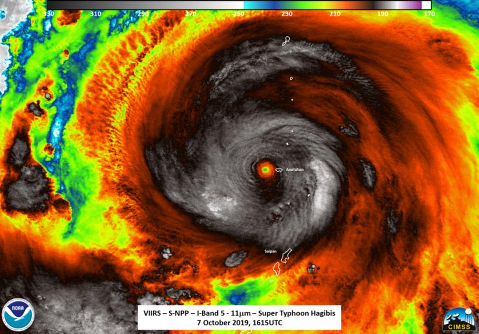
NASA-NOAA’s Suomi NPP satellite passed over Supertyphoon Hagibis and the VIIRS instrument aboard captured this image of the storm on Oct. 7 at 12:15 pm. EDT (1615 UTC). Suomi NPP found strongest thunderstorms around the center had cloud top
CREDIT: NASA/NOAA/UWM-CIMSS, WILLIAM STRAKA III
24-Hour Travel Disruption
The biggest impact will likely be on flights. The eye of the storm is 55 miles wide alone, and satellite imagery shows the entire storm is currently larger than the entire nation of Japan. Hagibis will be one of the strongest typhoons to directly hit the island nation in decades.
All Nippon Airways have now canceled all domestic flights departing from Tokyo on Saturday. The capital looks set to receive a direct hit from the storm but no one in the capital seems to be too concerned at this point. Although the Meteorological Agency has classified the storm as “violent”—the highest strength categorisation—rail operators have so far only warned that there may be cancellations.
With a storm this size, or any major storm, safety is paramount, however, Japanese authorities seem confident with their planning preparations. Japan Airlines have followed ANA’s example and canceled 90% of domestic flights, yet both airlines are optimistic of early morning departures on Saturday which remain scheduled until 8am. Additionally, both airlines are hopeful that some international flights will resume by late Saturday evening.
Tokyo airports have been worst affected by the disruption, with both major Japanese carriers, ANA and JAL, canceling 558 and 540 flights respectively. Flight cancelations are being seen around the globe to and from Tokyo, with British Airways scraping flights from London, and flights to North America also being affected. Almost every major airline around the world has been impacted by one of the largest storms to ever hit Japan directly, but the feeling on the ground here is that disruption shouldn’t last beyond a 24-hour window.

TOKYO, JAPAN – OCTOBER 10: Rugby World Cup tournament chiefs demonstrate to the media, the potential impact of typhoon Hagibis as they announce match cancellations at a press conference held on October 10, 2019 in Tokyo, Japan. (Photo by David
GETTY IMAGES
What Makes Typhoon Hagibis Different?
The Size:
Storm Hagibis’ has a diameter that covers an immense 1,400km. Until the very last moment, no-one or nowhere in vast areas of Japan is safe from this expansive storm.
The Time Of The Month: This weekend is a full moon, meaning that sea levels are higher than average. With potential storm surge and waves being predicted to be up to 13m in some areas, coastal flooding could be devastating.
Force: With wind gusts predicted to be over 240km/h, and a direct hit to Tokyo looking increasingly likely over the next few hours, Typhoon Hagibis could be one of the strongest storms to hit Japan in decades.
In terms of pressure, Hagibis could also be the strongest on record, ever. With a current pressure of 900 hPa, this is already lower than hurricane Dorian which devastated the Bahamas earlier this year, clocking in at a pressure of 910 hPa. The strongest Tropical Cyclone ever recorded was Typhoon Tip which reached 870 hPa and made landfall in the Philippines in 1979. All Japanese airlines suggest checking their websites before travelling tomorrow.





